Je vais réaliser votre dossier de Permis de Construire en forfait tout compris

5,0 (6)

Ventes 6

Proposé par KrimoBen Architecte Ventes au total 122 Disponible sur ComeUp Direct

Votre Permis de Construire clé en main – Simple, rapide et professionnel

Vous avez un projet de construction ou d’extension ?
Je prends en charge la réalisation complète de votre dossier de Permis de Construire, sans stress ni complications administratives a seulement 76,60 $US

En tant que Designer d’intérieur, Architecte & Expert 3D, je vous propose un dossier précis, esthétique et conforme aux exigences administratives.

Projets concernés

Je réalise les dossiers pour :

Abri de jardin

Extension

Pergola

Piscine

Clôture & portail

Terrasse

Carport / abri voiture

Véranda

Façade

Changement de destination

Velux

Projet d’habitation

Et tout projet jusqu’à 150 m² (surface totale existant inclus)

Pourquoi me confier votre projet ?
Expertise technique & réglementaire

Maîtrise des règles d’urbanisme et des documents administratifs exigés.

Approche architecturale professionnelle

En plus du dossier administratif, je veille à la cohérence esthétique et fonctionnelle de votre projet.

Qualité graphique supérieure

Plans clairs, propres et professionnels (niveau architectural et 3D).

Communication fluide

Suivi régulier et disponibilité tout au long du processus.

Votre dossier complet comprendra :

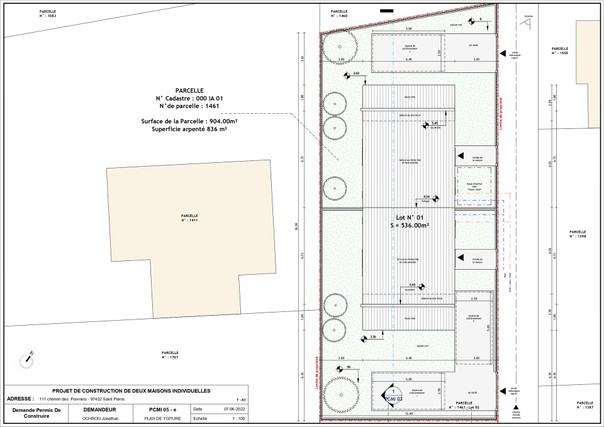
PCMI 01 – Plan de situation

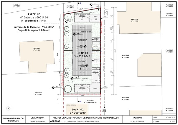
PCMI 02 – Plan de masse (Avant / Après)

PCMI 03 – Plan de coupe

PCMI 04 – Notice descriptive du terrain et du projet

PCMI 05 – Plans des façades et toitures

PCMI 06 – Insertion paysagère réaliste

PCMI 07 & 08 – Documents photographiques

Formulaire CERFA n°13406* prérempli

Tous les documents sont conformes aux exigences administratives , et seront livrés en format PDF et DWG

Éléments à me fournir

Pour démarrer rapidement :

Description détaillée des travaux (dimensions, matériaux, couleurs…)

Photos du terrain et de l’existant

Coordonnées GPS ou plan de situation

Croquis ou idées de votre projet

Plans existants (si disponibles)

Livraison

Dossier complet en PDF et DWG prêt à imprimer et déposer
Une seule demande de retouche est offerte aprés premiére livraison

Fichiers clairs et organisés

100% en ligne

Délai : 7 jours

Mon approche

Je ne me contente pas de remplir des documents.
Je structure votre projet avec une vision architecturale et une présentation professionnelle qui valorise votre demande auprès de l’administration.

Prêt à lancer votre projet ?

Confiez-moi votre Permis de Construire et avancez sereinement.

Contactez-moi dès maintenant pour démarrer.

Je vais réaliser votre dossier de Permis de Construire en forfait tout compris

Ce vendeur n’est pas assujetti à la TVA.

Personnaliser le service

  1. Commandez le
    service de votre choix
    à l’un de nos vendeurs
  2. Échangez par chat sur le
    site jusqu’à la livraison en toute sécurité
  3. Le vendeur n’est payé que
    lorsque vous validez la livraison

Avis des clients

5,0 (6)

Fabian_LeBeau

Au top ! Comme d’hab

Fabian_LeBeau

Très belle collaboration, un travail de grande qualité encore une fois

Casa_moderne

Travail efficace, rapide et professionnel, je ne peux que recommander

À propos du vendeur

KrimoBen

Performance Très bonne
Commande en cours 0 Ventes au total 122 Vendeur depuis mars 2022
Commande en cours 0 Ventes au total 122 Vendeur depuis mars 2022

Je suis architecte indépendant avec 6 ans d’expérience. Mais ce que je fais, ce n’est pas juste dessiner des plans. Je prends vos idées — souvent floues, parfois même un peu désordonnées — et je les transforme en quelque chose de clair, concret et visible. ━━━━━━━━━━━━━━━ Les gens arrivent souvent avec une idée dans la tête… mais sans savoir à quoi leur projet va réellement ressembler. Et c’est là que les problèmes commencent : ils avancent sans vision, ils font des choix dans le doute, et ils corrigent trop tard. Moi, je fais l’inverse. Je vous montre votre projet AVANT qu’il existe. ━━━━━━━━━━━━━━━ Je travaille sur toute la chaîne du projet : • conception architecturale • création de plans précis • visualisation 3D réaliste • préparation de permis de construire et déclarations préalables • mise en image du projet pour le rendre clair et convaincant ━━━━━━━━━━━━━━━ J’utilise des outils professionnels comme Revit, Lumion et Photoshop pour donner vie à vos idées : ➡️ maquettes 3D ➡️ rendus photoréalistes ➡️ photomontages réalistes ➡️ animations architecturales Tout ce qu’il faut pour que vous puissiez vraiment comprendre votre projet avant de construire.

En savoir plus